Verkauf von Baustellen in Hentern

Die Ortsgemeinde Hentern verkauft vier voll erschlossene Baustellen zu den nachfolgend aufgeführten Bedingungen.

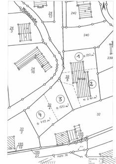
Die Baustellen entstehen auf den Flächen von Schulgebäude und Schulhof in der Waldstraße, nachdem im Frühjahr 2024 Gebäude und Schulhof beseitigt sind. Lage und voraussichtliche Größen der neu entstehenden Baustellen Nr. 1 bis 4 sind aus beigefügtem Lageplan ersichtlich.

  • Der Kaufpreis beträgt voraussichtlich 100 Euro/qm.
  • Die Baustellen werden voraussichtlich mit einer Bauverpflichtung belegt, wonach innerhalb von 5 Jahren ein bezugsfertiges Wohnhaus zu errichten ist.
  • Notargebühren und Grunderwerbssteuer gehen zu Lasten des Käufers.

Für Informationen, Auskünfte und ggf. Besichtigung steht den Interessenten Ortsbürgermeisterin Nadine Wagner zur Verfügung:

Mobil: 0160/ 91180533 oder E-Mail: Hentern@saarburg-kell.de